Galeria de Cartas Aeronáuticas


Visualizar produtos gráficos configurados usando ArcGIS Aviation Charting

O ArcGIS Aviation Charting inclui modelos pré-configurados para a criação de cartas de regras de voo por instrumentos (IFR) e regras de voo visual (VFR) que são compatíveis com as especificações do Anexo 4 da ICAO. Você também pode modificar esses modelos para criar produtos que atendam às especificações do seu país ou criar outros tipos de cartas, como cartas de aeródromo e cartas de aproximação por instrumentos.

Cartas configuradas pela Esri

Aplique modelos pré-configurados para produzir cartas VFR e IFR compatíveis. Os gráficos abaixo foram criados usando os modelos e ferramentas disponíveis no ArcGIS Aviation Charting sem qualquer personalização ou configuração adicional.

Anterior
Próximo

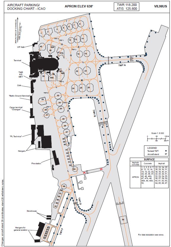
Cartas configuradas pelo cliente

O ArcGIS Aviation Charting fornece modelos pré-configurados e regras de negócios para atender às suas necessidades específicas de cartas aeronáuticas e direcionar seu ambiente de produção para criar cartas VFR, IFR e de aeródromo. A seguir estão exemplos de cartas produzidas pelo cliente da Esri.

Anterior
Próximo

Contato de vendas


Compartilhe suas informações e nossa equipe de vendas entrará em contato com você em breve. Estamos ansiosos para nos comunicarmos com você.