ArcNews Online
 

Summer 2002
 

Albany International Airport, New York, Uses GIS for Pavement Management

By Lena Weber, Ph.D., GIS Manager, and Pat Rooney, GIS/GPS Technician, C.T. Male Associates

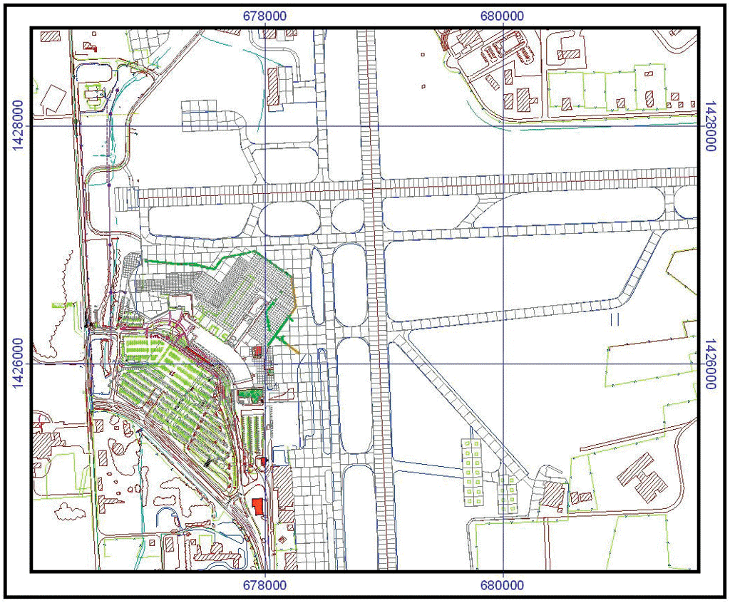
  click to see enlargement
This airport basemap detail is an ArcView 3.2 layout showing CADD files overlaid on the shapefiles after reprojection by means of ArcView software's Projection Utility.

Albany International Airport began an aggressive development program in 1996 to serve the economic expansion of the New York State Capital District, and the airport's growth momentum has accelerated since then. The emphasis was on safety and efficiency, to be achieved through innovative approaches with constant investment in new technology and equipment.

In September 2000, Rev. Michael A. Farano, chairman of the Albany International Airport Authority, accepted $6.3 million in federal grant money from the U.S. Federal Aviation Administration (FAA) for the airport, of which $3,700,000 was for the complete rehabilitation of the Airport's primary and connecting taxiways. Airports that receive federal grant funds for maintenance and rehabilitation need to evaluate pavement infrastructure and report the Pavement Condition Index (PCI). The purpose of the Pavement Management System (PMS) is to efficiently and effectively manage funds for maintenance and rehabilitation. Therefore, part of that project included a complete inspection of the existing pavement.

According to Farano, "During 2000, a record 1,440,000 passengers flew from Albany International Airport, an increase of 22.5 percent over 1999. What's more astonishing is the dramatic increase was achieved in just eight months."

click to see enlargement
Albany Airport Airside Pavement, color coded by branch classification.
 

With the focus on new technology, Albany International Airport's planner, Steve Iachetta, decided that the pavement inspection should be handled using MicroPAVER 4.2. The U.S. Army Construction Engineering Research Laboratory under contract to FAA developed MicroPAVER software as a tool for making cost-effective decisions. MicroPAVER 4.2 allows for the storage of pavement inventory, condition history, testing data, construction and maintenance history, and associated cost information. As MicroPAVER 4.2 has a GIS module to allow for the spatial visualization and reporting of the PCI, Iachetta asked for help from the engineering firm C.T. Male Associates, P.C., of Latham, New York.

Basemap

The first step was to create a highly accurate basemap of the airside pavement areas, using existing engineering drawings from the airport archives as well as current computer-aided design and drafting (CADD) documents developed from recent improvements by various engineering firms in the area. C.T. Male's GIS/GPS staff then used a Trimble Real Time Kinematic (RTK) GPS unit to verify the drawings and collect key points on the runways, taxiways, and aprons. The data was brought into ArcView 3.2 and converted to shapefile format. The first major challenge was to bring all these separate files into a common coordinate system.

For this purpose, all data was compared to Albany Airport's new aerial mosaic, flown just months before. This was in the target coordinate system (State Plane NAD83 New York East) and the fit was verified using various GIS files downloaded from the New York State GIS Clearinghouse Web site (www.nysgis.state.ny.us). Using ArcView software's Projection Utility, the airport's vector files were then reprojected (if the alternate coordinate system was known) or they were translated/rotated (if in various site specific projections).

MicroPAVER 4.2 Database

MicroPAVER's database comprises a hierarchy of paved units. The network is the entire pavement system such as a set of streets or an airport. A branch is an area of similar usage, construction, or age such as a runway, taxiway, or apron. A section is a subdivision of a branch, expected to have somewhat homogeneous pavement conditions. A sample unit is a subdivision of a section and the smallest component of a PMS. This is the size of unit to be inspected. The network coverage basemap was then divided into branches, sections, and sample units of pavement that were linked to the MicroPAVER pavement management software to create the MicroPAVER database inventory.

  click to see enlargement
C.T. Male's GIS/GPS technician Pat Rooney with the pen computer and the backpacked Trimble GPS unit.

A total of 1,219 sample units of roughly 6,000 square feet each make up the PMS coverage for Albany International Airport's airside paved areas. Of these, 295 were systematically selected to represent the entire coverage. Branches, sections, samples, and the selected sample units were each given a separate map "layer" or theme in the ArcView project. The systematically selected sample sites are referred to as "random" in MicroPAVER 4.2 terminology.

Pavement Condition Index

The U.S. Army Corps of Engineers developed the Pavement Condition Index for airport pavements through funding provided by the U.S. Air Force. The PCI is the basic measurement of the PMS and gives a relative numeric value from 0 (failed) to 100 (excellent). The numeric score is based on the number and type of cracks and imperfections found by visual surface inspection. To maintain consistency, the same inspector(s) conducts the inspection systematically under similar conditions on the selected sample units of pavement.

Albany International Airport's Pavement Management System

The airport's PMS was designed as an integrated system comprising

  • Fujitsu Stylistic 3400 pen computer
  • Trimble Pathfinder Pro XR GPS receiver
  • Esri ArcPad 5.01 field GIS/GPS software
  • MicroPAVER Pavement Management System 4.2 software

The airport's latest aerial mosaic, flown in October 2000, was loaded into the pen computer with ArcPad software along with the shapefiles of the sections, sample units, and random samples. Selected sample units were then delineated on the "virtual" airside pavement within the pen computer, and the system operator was able to precisely locate each unit to be inspected, at all times seeing where he was in relation to the other components of the basemap and aerial mosaic. Inspection data was entered directly into the MicroPAVER database via the pen computer, saving transcription time and errors. Time and cost savings were substantial--not only did the ease of navigation save time, but the delineation of the units on the "virtual" pavement minimized the runway downtime normally required.

Final Reports

In addition to providing an automated inventory of pavement, the MicroPAVER software was able to access the GIS-enabled database to generate customized reports, charts, graphs, and inspection schedules. As the PCI was calculated for each pavement section, the attributes of the section polygons were sent from ArcPad to the ArcView 3.2 project. These were coded using the same legend that MicroPAVER set up for its GIS reporting. By means of ArcView 3.2, maps were displayed, showing the date of inspection, the age of the pavement in each section, and the details in certain areas.

Subsequent inspections will be made using the same system and the same shapefiles. The inspection history data will then be consistent over time, and predictions will have greater validity since the original study is entirely reproducible with respect to methodology. Subsequent reports should include maps showing distress types as well as distress severity to gain maximum value from the GIS/MicroPAVER connection.

This project, "GIS-based Pavement Management," won a 2002 Platinum Award for Engineering Excellence through the New York Association of Consulting Engineers. It also won a National Recognition award in the National Competition of the Council of Engineering Companies.

For more information, contact Rich Morgan, Airport engineer (e-mail: rmorgan@albanyairport.com) or Lena Weber, GIS applications manager for C.T. Male (e-mail: l.weber@ctmale.com).

Contact Us | Privacy | Legal | Site Map